Melissa Kasırgası Karayipler’i vurdu! Haiti ve Jamaika’da 49 kişi yaşamını yitirdi, yüzlerce ev hasar gördü
Kaynak:ekoltv.com.tr
 18
					18
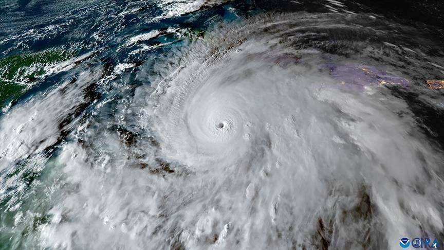
				Atlantik Okyanusu üzerinde oluşarak kısa sürede tropikal fırtınadan kasırga seviyesine ulaşan Melissa Kasırgası, Karayipler’i vurdu. Haiti’nin güney kıyılarında etkili olan kasırga, başkent Port-au-Prince’in batısındaki Petit-Goave bölgesinde nehir taşkınları ve heyelanlara yol açtı.
 28
					28
				Belediye Başkanı Jean Bertrand Subreme, onlarca evin tamamen yıkıldığını, birçok kişinin hala enkaz altında olduğunu açıkladı. Jamaika’da da elektrik kesintileri ve altyapı hasarları yaşanırken, ülkenin batısında bir ağacın devrilmesi sonucu bir bebek hayatını kaybetti.
 38
					38
				MELISSA KASIRGASI NEDİR?
Melissa Kasırgası, tropikal bölgelerde deniz yüzeyinin aşırı ısınmasıyla oluşan şiddetli rüzgarlar, yoğun yağışlar ve fırtınalarla etkili olan bir tropikal siklon türüdür. Rüzgar hızının saatte 150 kilometreyi aşabildiği bu doğa olayı, geçtiği bölgelerde büyük yıkım, sel ve can kayıplarına neden olur.
 48
					48
				HANGİ BÖLGELERDE GÖRÜLÜR?
Melissa Kasırgası, genellikle Atlantik Okyanusu, Karayip Denizi ve Meksika Körfezi çevresinde oluşur. Bu alanlarda yaz sonu ve sonbahar aylarında deniz suyu sıcaklığının yükselmesi, tropikal fırtınaların kasırgaya dönüşme riskini artırır. Karayipler, Küba, Jamaika, Haiti, Dominik Cumhuriyeti ve Florida kıyıları bu tür fırtınalardan en çok etkilenen bölgeler arasında yer alır.
 58
					58
				MELISSA KASIRGASI NASIL OLUŞUR?
Kasırgalar, okyanus yüzeyinin 26 derece ve üzeri sıcaklıklara ulaştığı durumlarda, nemli hava kütlelerinin yükselerek yoğunlaşmasıyla oluşur. Bu yoğunlaşma sürecinde açığa çıkan enerji, atmosferde güçlü bir dönüş hareketi yaratır.
 68
					68
				Alçak basınç merkezinde toplanan rüzgar kütleleri, hızla dönerek tropikal fırtına seviyesinden kasırga gücüne yükselir. Melissa Kasırgası da bu şekilde güç kazanarak Karayipler’e doğru ilerledi.
 78
					78
				HAİTİ VE JAMAİKA’DA YIKIM BÜYÜK
AFAD ve bölgesel acil durum ekiplerinden alınan bilgilere göre, Haiti’nin güneyinde yer alan La Digue Nehri’nin taşması sonucu çok sayıda köprü ve yol kullanılamaz hale geldi.
 88
					88
				Jamaika Eğitim Bakanı Dana Morris Dixon, adanın yüzde 77’sinde elektrik kesintisi yaşandığını, ancak su sistemlerinin büyük oranda çalışır durumda olduğunu belirtti. Yetkililer, fırtınanın etkilerinin önümüzdeki birkaç gün daha devam etmesini bekliyor.
*Kaynak: Reuters ve Associated Press (AP)